Miesięcznik Murator ONLINE

Skocz do zawartości

Recommended Posts

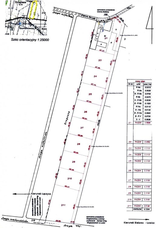
Okazja. Osiem działek budowlanych każda o pow. 3100 m2 , w miejscowości Drogusza Gm. Bielawy Pow. Łowicki Woj. Łódzkie, bezpośrednio przy trasie wojewódzkiej nr 703 Łowicz - Łęczyca. Działki posiadają aktualne warunki zabudowy na dom dwukondygnacyjny i budynek gospodarczy i nie wymagają przekwalifikowywania na teren budowlany. Posiadają kształt regularnego, proporcjonalnego prostokąta o wym szer 67 m dł 47 m. Teren płaski brak jakichkolwiek uciążliwości, woda i energia w drodze obok działek. Odległość do Warszawy ok 85 km, Łódż 45 km, Łowicz 20 km, do lasu 0,7 km, szkoła, kościół autobus.

 

Dla amatorów jazdy konnej stadnina koni w Walewicach ok. 4 km. Dogodna komunikacja drogowa 3 km do budowanej już autostrady A1 . Dojazd do działek z dwóch stron drogą asfaltową możliwość kupna jednej działki. cena 30 tys za jedną działkę. Do małej negocjacji.

 

Doskonała oferta na inwestycję lub lokatę kapitału. Polecam.

Kontakt tel 693-051-327

 

Oferta bezpośrednia bez dodatkowych opłat

PHOT0127-1.JPG

PHOT0120.jpg

PHOT0119.jpg

PHOT0127.JPG

Lokalizacja.jpg

Odnośnik do komentarza
https://forum.murator.pl/topic/159671-sprzedam-dzia%C5%82ki-w-centrum-polski/
Udostępnij na innych stronach

Dołącz do dyskusji

Możesz dodać zawartość już teraz a zarejestrować się później. Jeśli posiadasz już konto, zaloguj się aby dodać zawartość za jego pomocą.

Gość
Odpowiedz w tym wątku

×   Wklejono zawartość z formatowaniem.   Usuń formatowanie

  Dozwolonych jest tylko 75 emoji.

×   Odnośnik został automatycznie osadzony.   Przywróć wyświetlanie jako odnośnik

×   Przywrócono poprzednią zawartość.   Wyczyść edytor

×   Nie możesz bezpośrednio wkleić grafiki. Dodaj lub załącz grafiki z adresu URL.



×
×
  • Dodaj nową pozycję...