Przemysław Ryncewicz 24.09.2014 11:09 Zgłoś naruszenie Udostępnij Napisano 24 Września 2014 Witam, mieszkam w domku jednorodzinnym, w którym do tej pory poddasze nie było wykorzystane. Moja dwójka dzieci jest już na tyle duża, że potrzebują mieć swoje pokoje. Proszę o pomoc w podziale przestrzeni, aby było one użytkowe dla dwójki dzieci. Dobrze by było aby znalazła się tam też łazienka. Z góry dziękuję za odpowiedzi. Cytuj Odnośnik do komentarza https://forum.murator.pl/topic/193783-poddasze-pro%C5%9Bba-o-pomoc-w-szkicu/ Udostępnij na innych stronach Więcej opcji udostępniania
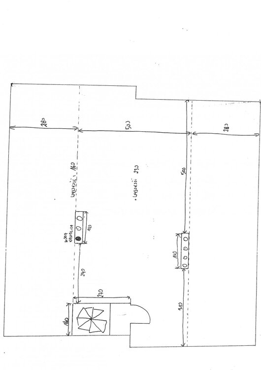
Elfir 24.09.2014 13:25 Zgłoś naruszenie Udostępnij Napisano 24 Września 2014 Proponuję tak: http://images69.fotosik.pl/210/fe549122588a679cgen.jpg Ale rysunek nie jest specjalnie dokładny, bo nie podałes wszytskich wymiarów.Częśći poddasza poniżej 1,6 m praktycznie są nie do wykorzystania Cytuj Odnośnik do komentarza https://forum.murator.pl/topic/193783-poddasze-pro%C5%9Bba-o-pomoc-w-szkicu/#findComment-6586608 Udostępnij na innych stronach Więcej opcji udostępniania
Przemysław Ryncewicz 25.09.2014 07:01 Autor Zgłoś naruszenie Udostępnij Napisano 25 Września 2014 Dziękuję, świetnie to wygląda. Podpowiedz mi jeszcze proszę, czy okna wstawić w dach czy na ścianie szczytowej, tam gdzie stoją biurka. Cytuj Odnośnik do komentarza https://forum.murator.pl/topic/193783-poddasze-pro%C5%9Bba-o-pomoc-w-szkicu/#findComment-6587091 Udostępnij na innych stronach Więcej opcji udostępniania
Elfir 25.09.2014 10:07 Zgłoś naruszenie Udostępnij Napisano 25 Września 2014 Ja bym dała w ścianie szczytowej, jeśli tylko jest taka możliwość. Przede wszystkim są tańsze mnie 'awaryjne" na przeciekanie Cytuj Odnośnik do komentarza https://forum.murator.pl/topic/193783-poddasze-pro%C5%9Bba-o-pomoc-w-szkicu/#findComment-6587371 Udostępnij na innych stronach Więcej opcji udostępniania
Recommended Posts
Dołącz do dyskusji
Możesz dodać zawartość już teraz a zarejestrować się później. Jeśli posiadasz już konto, zaloguj się aby dodać zawartość za jego pomocą.